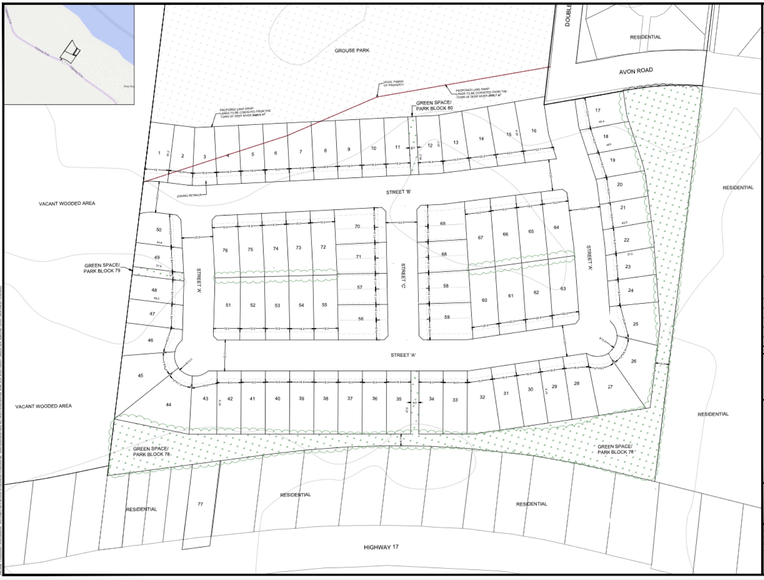
A local developer is proposing a new 85-unit subdivision in Deep River’s west end.
Brian Whitehead of Jp2g Consultants will appear before Deep River council tonight to present a draft “development concept” on behalf of Herb and Dana Shaw.
In addition to presenting the proposed plan, Whitehead said the developers would also like to request “council’s authorization to pre-consult with (the) town for the purpose of confirming the scope of work required to support an amendment to the Official Plan in order to permit the development in accordance with the town’s secondary plan policies.”
The proposed development would include a total of 69 single detached residential lots and eight semi-detached residential lots for a total of 85 residential dwelling units…
- For the full story, pick up a copy of this week’s NRT. To get the NRT delivered directly to your mail box or inbox each week, subscribe here.


