Proponents of a subdivision in Deep River’s west end believe they’ve done everything they can to ease public concerns over the development.
That was the message delivered to town council at a special meeting last week by Anthony Hommik, who is steering the proposed subdivision through the planning stages on behalf of its developer, Clarksburg Realty, owned by Joe Halos.
The meeting was held to give Hommik, a senior planner with Jp2g Consultants, a chance to deliver an update to council on the subdivision application for Pine Point Trails.
The County of Renfrew, which serves as the planning approval authority for the town, announced last month that its review of the plan of subdivision has been completed and, in accordance with the Planning Act, can now be circulated for review and comment.
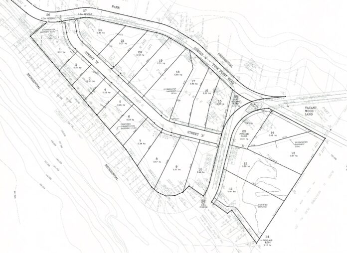
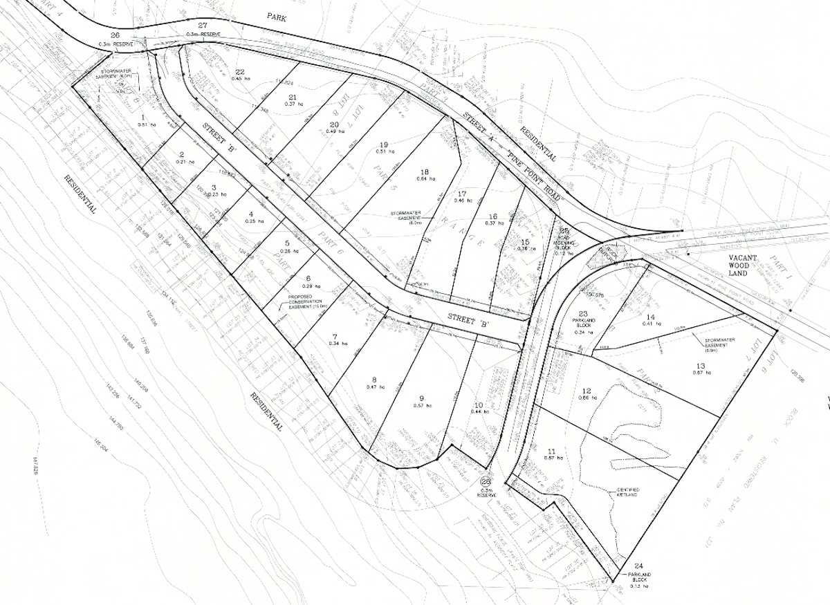
A previous plan of subdivision for the 11.5 hectare parcel of land at the corner of Thomas Street and Pine Point Road proposed a total of 98 lots.
The Halos, who acquired the property in 2020, scaled that proposal back considerably to 35 homes, and even further since then to 22 lots, following extensive public consultation.
“Their vision is one with much larger lots, less of those lots and a design that’s certainly more attuned with the natural environment of the property,” Hommik told council last week…
- For the full story, pick up a copy of this week’s NRT.
The NRT website offers just a sample of what you’ll find inside each week’s issue. To get the full NRT delivered directly to your mail box or inbox each week, subscribe to our print or digital editions here.


